Menú
INICIO
PRINCIPALES
POLÍTICA EXPRESS
NOTICIAS AL DÍA
MINUTO X MINUTO
TECNOLOGÍA
CIENCIA Y CULTURA
VIAJES
ESTILO
CINE
LA POLÍTICA DA RISA
COLUMNAS
IR A VERSIÓN CLÁSICA
FRENTE FRIO
Población Veracruzana: Aviso Especial por Surada-Frente frío-Lluvias-Norte
2023-03-13
Población veracruzana: Alerta Gris por Surada-Frente frío-Norte y Lluvia
2023-02-17
Población veracruzana: Alerta Gris por Surada-Frente frío-Norte y Lluvia
2023-02-16
Población veracruzana: Alerta Gris por Surada-Frente frío-Norte y Lluvia
2023-02-15
Población veracruzana: Aviso Especial por Surada-Frente frío-Norte y Lluvia
2023-02-14
Población veracruzana: Alerta Gris por Frente frío-Lluvia-Norte
2023-02-10
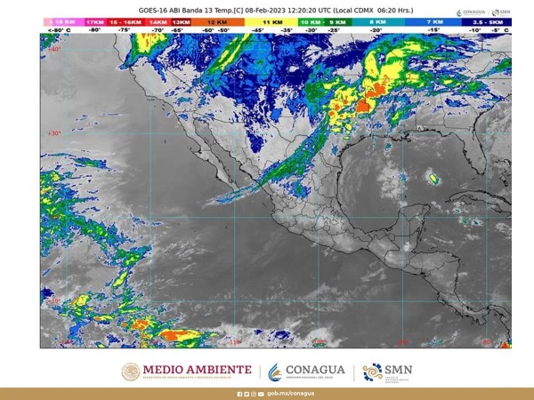
Se pronostican lluvias fuertes para este jueves en el sureste de México
2023-02-09
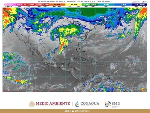
El Frente Frío Número 30 propiciará lluvias fuertes en Hidalgo, Oaxaca, Puebla y Veracruz
2023-02-08
Nortazo desprende objetos de la Torre Centro, que no cuenta con el dictamen de riesgos
2023-02-03
Población veracruzana: Aviso Especial por frente-Lluvia-Norte
2022-12-01
Protección Civil anuncia para hoy y mañana, nueva alerta gris por frentes fríos-Lluvia-Norte.
2022-11-18
Regresar a portada
Pag 11 / Ir a:
<<
<-
12
13
14
15
16
17
18
19
20